最新の SCIEX 質量分析システム向けに設計されたソフトウェアを使用して、ワークフローを合理化し、配信を高速化します。Windows11のサポートが強化され、IT セキュリティ ポリシーに準拠し、サイバーセキュリティのリスクが軽減されます。

最新の SCIEX 質量分析システム向けに設計されたソフトウェアを使用して、ワークフローを合理化し、配信を高速化します。Windows11のサポートが強化され、IT セキュリティ ポリシーに準拠し、サイバーセキュリティのリスクが軽減されます。
close
ZenoTOF 8600 システム向けの特別な機能強化
バージョンの機能マトリックス
SCIEX OS ソフトウェアの各バージョンに追加されたすべての機能のリストを表示します。
SCIEX OS ソフトウェアの利点
Analystソフトウェアからのアップグレードで得られる機能を紹介します
SCIEX OS ソフトウェアへのスムーズな移行に必要な手順と専門家のヒントをご覧ください。このガイドは、データの整合性を確保し、ラボのオペレーションをスムーズにするのに役立ちます。
close
ここでは、MSメソッドやLCメソッド、ラック位置、プレートタイプ、バイアル位置、サンプル注入量などのオートサンプラー設定値など、サンプルに関する詳細を入力します。また、使用する解析メソッドと、ディレクトリ内の結果ファイルの保存場所の指定ができます。バッチ作成はシンプルでわかりやすく、既存の Analyst ソフトウェアのメソッドを SCIEX OS ソフトウェアに直接インポートすることも可能です。
バッチワークスペースにはその他に、QTOF用の自動キャリブレーション機能があります。精密質量分析計を使用する際に、メソッドとオートサンプララックのプレートレイアウトに合わせて適切なキャリブレーション溶液の種類が選択できるようになります。以前に保存したバッチを再度開き、[管理] タブを使用してバッチに行を追加することもできます。詳細を入力すると、バッチの準備が整い、「送信」をクリックできるようになります。

close
バッチワークスペースで送信をクリック後、キューワークスペースで分析の進行状況を確認できます。取得ステータスが表示されるため、サンプルが順調に実行されていることをすぐに確認できます。推定開始時刻により、分析がいつ完了するかを予測できます。
キューワークスペースには、MS メソッドや LC メソッドなど、バッチワークスペースと同様の詳細情報が表示されます。バッチに変更を加えたい場合は、ここからキューを開始および停止することができます。

意思決定ルール機能により、設定した基準に基づいて失敗を即座に検出し、修正アクションを実施できます。主観に頼らない意思決定は、分析中の変化する状況に適応します。意思決定ルール機能は、カスタマイズされた基準に対して継続してチェックを行います。意思決定ルールを使用すると、取得、データ解析、およびデータレビューを待つことなく、失敗を発見し、対策を講じることができます。
close
SCIEX OS ソフトウェアでは、液体クロマトグラフ用のメソッドを独立して作成できます。LC メソッド ワークスペースに表示される情報は、分析用に選択した LCの構成によって変わります。ここでは、流量、オートサンプラー条件、カラムオーブン温度、フォトダイオードアレイ検出器 (PDA) の波長データなどの詳細を入力できます。また、分析前に自動パージを実行するなど、必要な他の設定を調整することもできます。

close
「チューニング手順」ドロップダウン メニューには、機器に固有のオプションが表示されます。システムの感度が低いと思われる場合は、検知器最適化ツールを使用して検知器電圧を最適化できます。

SCIEX OS ソフトウェアは、すべてのモードですべてのスキャンをキャリブレーションすることにより、SCIEX Triple Quad 7500 システムおよび X500 シリーズ QTOF システムの自動チューニングを可能にし、高速で簡単かつシンプルなチューニングにより、システムがすぐに使用できるという確信を高めます。
機器は、内蔵されたアクセプタンス基準によって正しく校正されるため、初回の成功率が高くなり、時間を大幅に節約できます。
正モードと負モードの両方に単一のキャリブラントを使用する利点:
close
MS メソッド ワークスペースでは、使用装置タイプが、SCIEX Triple Quadシステムか、精密質量分析計かに応じて、標準 MRM メソッドまたは MRMHR メソッドを作成できます。SCIEX の精密質量分析計を使用している場合は、SWATH 測定メソッドを作成するかもしれません。新しい分析対象物のための新しいメソッドを開発する際に役立つガイド付きメソッド作成ツールが利用できます。
Turbo V イオンソースおよび OptiFlow Pro イオンソースのソース パラメータ (ソース ガス、カーテン ガス、温度設定など) をここで設定できます。
実験セクションでは、TOF MS、MRM、MRMHR など、実行する実験の種類を選択します。複数の実験を選択して分析を行うことができるため、システムはさらに多くのデータを取得できます。

インフュージョン、フローインジェクション、オンカラム、MRM3 アプローチのいずれであっても、定量分析用の自動化合物最適化機能はシンプルで柔軟性があり、完全に自動化されています。シグナルノイズ比 (S/N) や強度要件などの最適なパラメータを選択するオプションもあります。
Scheduled MRM (sMRM) は、質量分析計の精度と正確度を向上させます。sMRM は、潜在的な保持時間(RT) ドリフトを考慮し、すべての RT を ワンクリックで更新できます。sMRM には、単一のdwell timeを呼び出す機能があるため、低強度イオンのアバンダンスを最大限に高めることができます。さらに、インタラクティブな sMRM プロットは、sMRM メソッドの変更に応じて動的に更新されます。
close

Biologics Explorer ソフトウェアは、最新の取得技術を活用し、実績あるパフォーマンスに基づいて構築されています。タンパク質バイオ医薬品の十分な特性解析において、情報豊富なワークフローを提供します。
close
サンプルグループに基づいてデータを視覚化し、統計を適用してマススペクトル データ内の傾向に関する貴重な洞察を得たいと考えている科学者向けに設計されたデータ視覚化ツールです。MarkerView は、SCIEX ユーザーが生データに直接接続して統計的相関を探索できるという点でユニークです。これにより、有意義な関係を迅速に見つけることができます。特に、メタボロミクス、リピドミクス、プロテオミクス、食品の真正性や水質検査に役立ちます。


close
エクスプローラ ワークスペースのナビゲーション ツールにより、サンプル間をすばやく移動してデータの概要を把握できます。お好みに応じて、いくつかの方法でデータを表示できます。

close
答えを探すのに費やす時間を減らします。フラグベースのラベル付けおよびフィルタリング ツールを使用して、関心のあるデータのみを確認します。

1.ピーク積分
強力なAutoPeak積分アルゴリズムにより、サンプル、バッチ、および分析対象物全体にわたり信頼性の高い積分が実現し、パフォーマンスは向上します。これにより、低レベルのピークや複雑なマトリックスでも、信頼性の高いピーク積分が簡単に達成できます。ピークを再積分したり、干渉を除去したり、保持時間を調整したりするために手動で介入する必要はありません。
2.ワークスペースレイアウト
一貫性と高品質データの継続的な提供が求められるハイスループットラボ環境では、データを迅速に確認できる使い慣れたレイアウトが便利です。カスタムワークスペースを保存できるようになりました。
3.自動外れ値除外
検量線のレビューが簡単に実施できます。
4.計算カラムとフラグ付けルール
SCIEX OS ソフトウェアには、分析クエリに対して「IF」ステートメントをサポートしています。「IF」ステートメント内で計算を実行する機能があります。結果が数値の場合、フラグ付けルールに「IF」ステートメントを組み込むことができます。実行したいデータ分析の一部は複雑な場合があるので、クエリの式のサイズに制限はありません。ネストされた「IF」ステートメントもサポートされており、.frml ファイル形式にパッケージ化して共有できます。
close
Molecule Profiler ソフトウェアは、MS および MS/MS データと幅広いライブラリを組み合わせ、さまざまな医薬品分子の不純物や生体内変化を把握するための非常に正確で柔軟なワークフローを実現します。
Molecule ProfilerはSCIEX OSと完全に統合されており、外観・操作性も統一されています。SCIEX OSの他の機能を同時に使用できます。また、データを移動する必要もありません。

close

構成ワークスペースでは、必要なデバイスの追加や、機器構成の編集が可能です。ワークスペース内では、システムがスタンバイ状態になるまでの最大アイドル時間や、許可されるサンプルの最大数など、キュー管理の設定を調整できます。また、サンプルがセットされていない場合、どうするべきかのアドバイスするルール設定もあります。X500 シリーズ QTOF システムを使用している場合は、キャリブレーション設定を指定し、キャリブレーションが失敗した場合にシステムが何をすべきかを設定できます。
close
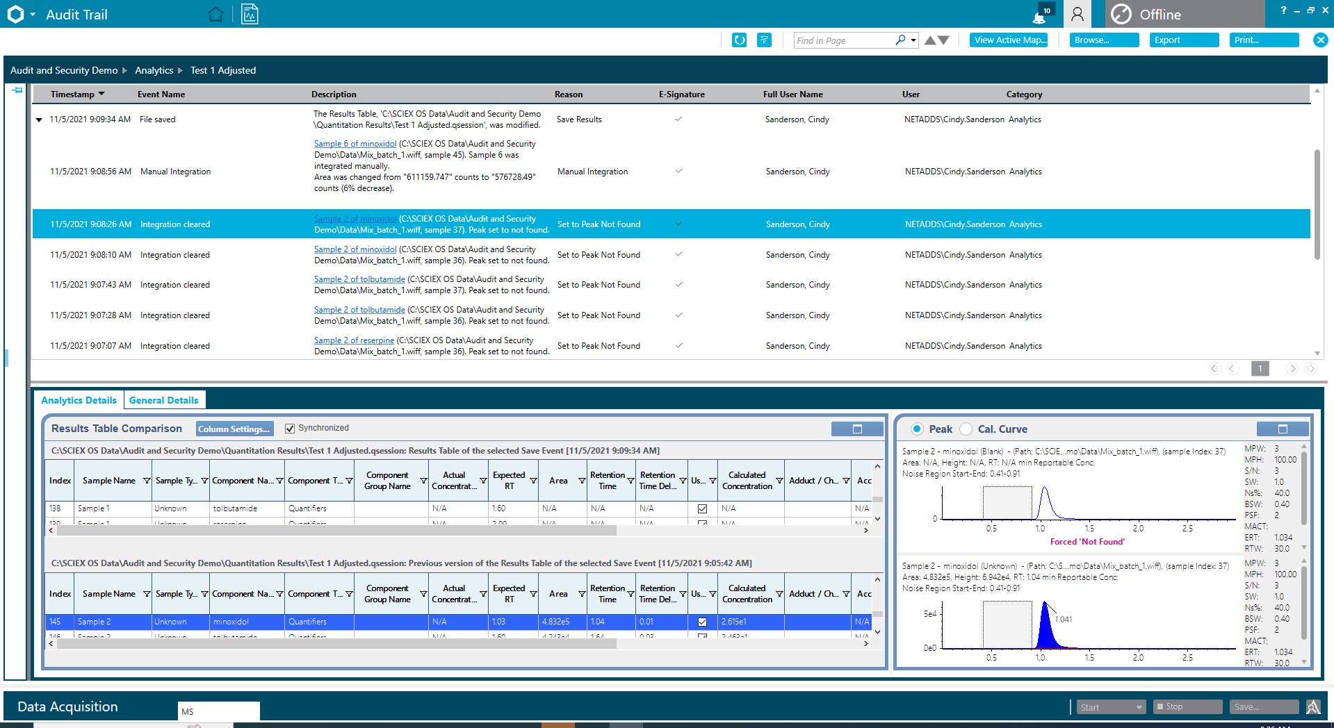
コンプライアンスに準拠した日常的な分析から柔軟性が求められる研究ワークフローまで、直感的な監査証跡ワークスペースは完全なトレーサビリティとアカウンタビリティを保証します。データインテグリティ機能が組み込まれており、ラボのコンプライアンスやデータ セキュリティ要件に合わせて各機能をカスタマイズできます。

SCIEXの包括的なコンプライアンス サービスには、SCIEXシステムワークフロー全体をカバーする機器の適格性評価およびソフトウェアバリデーションパッケージが含まれています。
close
ライブラリワークスペースは、ワークフローの一部として使用するライブラリをインポートするために使用します。ライブラリにより、取得したデータの追加確認や保証がもたらされます。LibraryView ソフトウェア パッケージまたは独自のカスタム ライブラリをインポートできます。
このプロセスでは、処理に含める化合物を選択できます。たとえば、SCIEX All-in-One HR-MS/MSライブラリのすべての化合物を含めたり、実験に重要な化合物だけを抽出したりすることもできます。

close
イベントログワークスペースには、SCIEX OS ソフトウェア内で発生した診断情報とイベントが表示されます。このワークスペース内では、特定の間隔でログをアーカイブできます。また、 以前にアーカイブされたイベントログをここで開くこともできるので、役に立つ可能性のある情報を調べることができます。

研究の変革、そしてシームレスな統合、使いやすさの向上、堅牢なデータ管理をすべての分析において体験してください。

効率の向上
SCIEX OS ソフトウェアでラボの生産性を向上させましょう。質量分析を用いたワークフローをシンプルにし、高品質で実用的なデータを一貫して生成します。

改善された使いやすさ
直感的なソフトウェアインターフェイスを使用して、すべてのSCIEX機器の操作を統一します。 適応性の高いAPI統合により、データのレビューと処理をカスタマイズできます。

比類なきデータインテグリティ
SCIEX OS ソフトウェアの卓越した正確さと安定性をもたらし、全ての分析においてデータの品質を保護し、バッチごとに一貫した結果を実現します。

合理化された自動化
データ処理を自動化することでエラーを最小限に抑え、リソースをより重要なタスクに割り当て、生産性と信頼性を向上させます。

グローバルチームと連携
ユーザーインターフェイスを希望の言語 (中国語、日本語、韓国語、ドイツ語、イタリア語、フランス語、スペイン語、ポルトガル語、英語) に翻訳することで、異なるタイムゾーンを越えてグローバルにコミュニケーションできます。
運用コスト削減
生産性を向上させながら、同時にコストを削減する方法を探りましょう。
研究室のインフラストラクチャが相互接続されるようになると、ソフトウェアAPI(Application Programming Interface)はこの接続を可能にする重要な要素となります。SCIEXは、SCIEX OS ソフトウェアおよびデータへの接続を提供する 3 つの API を提供しています。
クライアントライブラリが、外部アプリケーションからSCIEX OS ソフトウェアのリモートコントロールを可能にします。Control APIを使用すると、ユーザーは質量分析計のデータ取得に関連する活動を制御および監視できます。Control APIで実行できるタスクには以下が含まれます:
Processing APIは、SCIEX OS ソフトウェアで取得したデータの処理および読み込みのための一連のソフトウェア ツールを提供します。
ソフトウェア開発者が SCIEX OS ソフトウェアのwiff2データファイルから情報を抽出できるようにするソフトウェアツールのセット。この情報は、サードパーティの解析アプリケーションで使用できます。Data API は次の種類のデータにアクセスできます:
制御、管理、監査
複数の機器を備えたラボでは、SCIEX OS ソフトウェア 3.0 以降の Central Administrator Console (CAC) を使用して、プロジェクトを作成および管理できます。
管理者、メソッド開発者、アナリスト、またはレビュアーとしてスタッフに適切な権限を定義し、設定します。個別のアクセスルールを作成するか、ワークグループに割り当てます。
SCIEXの装置は汎用性が高いため、さまざまな種類の実験を実行できます。CACでは、プロジェクトを整理、照合、優先順位付けし、ルートディレクトリを割り当てることができます。
CAC専用の包括的な監査設定により、ユーザーはコンソールワークステーション上で理由、電子署名、タイムスタンプ付きイベント・ログを含む完全なトレーサビリティを設定できます。ユーザープロファイルと権限は、コンプライアンス提出を容易にするために印刷することができます。
Intabio ZT システムは、icIEF 分離と UV 検出を ZenoTOF 7600 システムの高分解能質量分析法と結びつけます。必要な情報を含む単一のアクセス可能なデータセットを使用して、迅速に適切な意思決定を下すための統合されたワークフローを体験してください。
ハイスループットスクリーニングワークフローにおいて、揺るぎないデータ品質、スピード、コストのバランスを実現します。
mzML は、質量分析計の生データをエンコードするために、HUPO Proteomics Standards Initiative(PSI)によって開発された標準 XML フォーマットです。従来の mzData と mzXML フォーマットの利点を統合し、置き換える目的で作成されました。さまざまなデータタイプや取得モードをサポートしており、質量分析データ用フォーマットとして汎用性が高く、広く採用されています。
SCIEX MS Data Converter 2.0は、SCIEX Analystソフトウェアのwiff1およびSCIEX OSソフトウェアのwiff2スペクトル・クロマトグラフィーデータを、mzMLフォーマット(バージョン1.1)に変換するユーティリティです。データをそのまま変換することも、変換時にデータ処理を行ってピークリストを出力することもできます。
SCIEX MS Data Converter 2.0の主な特徴:
電子監査証跡、電子署名、および詳細なセキュリティ設定を組み込んで、GxPおよび21 CFR Part 11規制をサポートします。SCIEX OS ソフトウェアは、ラボの要件を満たすためのセキュリティポリシーをカスタマイズして展開する柔軟性を提供します。
| 仕様 | ワークステーションの要件 | CAC サーバーの要件 |
|---|---|---|
| オペレーティングシステム | Windows 7 (64 ビット)、Windows 10 (64 ビット)、バージョン 1809 LTSC、20H2、または 21H2。 英語、フランス語、ドイツ語、イタリア語のオペレーティングシステムがサポートされています | Windows 10 (64 ビット)、バージョン 1809 LTSC。20H2 または 21H2、Windows Server 2019 以降。 英語版オペレーティング システムのみ |
| プロセッサ | Intel Xeon W3-2435 22.5MB 8コア 3.1GHZ~4.5GHZ | マルチコアプロセッサ(64ビット対応)、3GHz |
| RAM | 32GB DDR5 4800MHZ | 8 GB、32 GB 推奨 |
| データストレージ | 2 x 1TB Raid 1、NVMe SSD クラス 40 (TOF 製品の場合は 2 x 2TB) | 最低1TBのSSD |
| グラフィックカード | NVIDIA T400 4GB | N/A |
SCIEX OS ソフトウェアは、セキュリティ・バイ・デザインと多層防御の原則が製品開発プロセスに組み込まれています。ソースコードとサードパーティコンポーネントのセキュリティ脆弱性の検出は、業界で認められてるツールにより自動的におこなわれます。SCIEX OS ソフトウェアの構成は、業界のベストプラクティスを使用して標準化されたセキュリティポリシーに基づき強化されています。さらに、開発者には毎年セキュアコードトレーニングを義務付けており、セキュアコーディング標準を使用して開発しています。
あらゆる意見や視点を歓迎する包括的なコミュニティに参加してください。すべての人のために、イノベーションと科学の未来を形作る活動に参加しませんか。
SCIEX OS ソフトウェアのヒント
SCIEX OS ソフトウェアの自動外れ値除去機能により、検量線の確認時間を大幅に短縮できます。このアルゴリズムは、回帰直線性、真度、精度、および許容外れ値の基準を設定することができ、解析メソッドにおいて検量線から外れ値を自動的に除去します。この機能は、感度や特性が異なる多数の分析対象化合物を扱う際に、その検量線を手動で確立する手間を軽減し、データ レビュアーの時間節約に大きく貢献します。
close